Address
304 North Cardinal St.
Dorchester Center, MA 02124
Work Hours
Monday to Friday: 7AM - 7PM
Weekend: 10AM - 5PM
Address
304 North Cardinal St.
Dorchester Center, MA 02124
Work Hours
Monday to Friday: 7AM - 7PM
Weekend: 10AM - 5PM


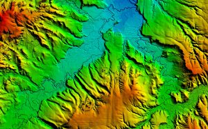
لى بيان أهمية برمجيات نظم المعلومات الجغرافية كوسيلة من وسائل قياس العناصر النقطية والخطية والمساحية، لحساب الخصائص المورفومترية لأحواض التصريف المائي ومن ثم بناء قاعدة معلومات رقمية للأحواض الجزئية المدروسة.
الأهداف:
دراسة الخصائص المورفومترية لأحواض التصريف في المنطقة ودلالاتها الجيومرفولوجية، تحليل شبكات التصريف للأحواض، والتعرف على أنماط التصريف السائدة بالمنطقة.
مكن التحليل المورفومتري من فهم العلاقة بين خصائص الأحواض وشبكات التصريف ونمط الجريان ومعرفة أهم العوامل للوصول إلى تحليلGIS التي تؤثر في الجريان السطحي، واستخدمت برمجيات الإيرداس ونظم المعلومات الجغرافية مورفومتري لأحواض التصريف حيث شملت الدراسة على الخصائص التالية: